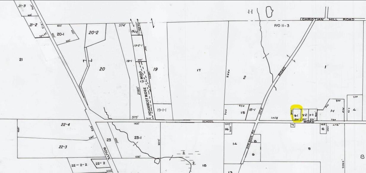
M7/L3-1 School Road
Charleston, ME 04422
(sold: 10/16/2025)
Listing #264100
Land
Status: Sold
Map 7 Lot 3-1 is a 1.38 acre lot for sale in Charleston, Maine. This location is in the MSAD/RSU 68 school system which is Dover Foxcroft and Foxcroft Academy. The owner has started to clear the lot for building. There is also an old septic design for
this lot that I've included in the Documents section of the listing just for information. This lot is ready for your dream home!
Exterior Features
| Lot Size | 1.38 acres |
Courtesy of Shirley Wright, NextHome Experience
This content last updated on 12/14/2025 1:57 AM. Some properties which appear for sale on this web site may subsequently have sold or may no longer be available.
